You've got questions, we've got answers
How to determine your price range
Everything you need to confidently buy your new home
What you need to know
Find trusted vendors in your area
Find utility information for your area
Send an email with a link to
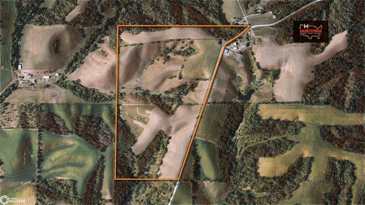
Tbd 350th Street, Chelsea, IA 52215.
This 90-acre farm sits in the majestic rolling hills above the Iowa River, in an area known for its beauty and strong whitetail country. With a mix of income acres, pasture, timber, and brush, it lays out naturally for both recreation and mixed-use investment. The farm includes 29 acres of CRP enrolled through 2033, paying $255/acre for an annual income of $7,565. The CRP fields are tall and thick, with excellent stands of native grass that not only generate income but also provide valuable cover and wildlife habitat. There's also a 9 acre crop field that could add a little more income if you rent it out. From the gravel road, the property is mostly hidden thanks to this dense screening from the native grasses and crops, giving it a private feel. In the middle, there is 30 acres of pasture that has two ridges and two draws, and the remaining 23 acres of brushy timber round out the diversity. For hunters, the potential here is easy to see. The north CRP field stretches west and borders adjoining timber, making it a natural food plot site. Deer sign is already evident, and with a food source in place this area would become a reliable hunting setup. On the south end, a winding trail leads back to an old hunting blind overlooking a secluded bottom. This section is a thick bedding area that has produced consistent deer activity for years. A small pond is already in place, but the deep ravines across the property create opportunities for building a larger pond in the future.
MLS ID: 6331659
Shown By
Contact an agent to learn more about
Tbd 350th Street, Chelsea, IA 52215.

Call or Click to get Pre-Approved!
563-441-1862
toll free 866-441-1862
Customize Your Rate
| Loan Type | 30 Year Fixed | FHA 30 Year Fixed | 15 Year Fixed |
| Purchase Price | $525,000 | $525,000 | $525,000 |
| Down Payment | $105,000 | $18,375 | $131,250 |
| Monthly Mortgage Amount | $2,418 | $3,008 | $3,139 |
| Taxes | $731 | $731 | $731 |
| Insurance | $100 | $100 | $100 |
| HOA/Dues/Fees | $0 | $0 | $0 |
| Monthly Mortage Insurance | $0 | $231 | $0 |
| Monthly Estimated Total | $3,302 | $4,123 | $4,023 |